2005—FOR THE DUTCHMAN TOUR

Author: Patrick Linfors

Author: Patrick Linfors

Left to Right: Patrick, Jeff, OB, Craig, Chad

 

*This tour logo would become the staple logo of the CAC for years to come. (PS-Pino)


June 10-15, 2005

$23,000 raised for the ACS

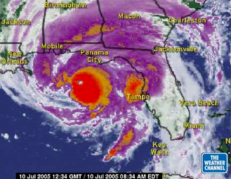
To folks in the Keys, Hurricane Dennis may become a footnote in history - just another storm that gave the island chain a scare, but never followed through on its reported potential. To the Castaways Against Cancer, however, Dennis will never be forgotten.


Part-1 - Red Sky at Morning
Our team of Miami paddlers, eager to once again paddle to Key West in the name of cancer research, set forth on our 6th-annual adventure in July. The plan was to push off from the shores of Virginia Key on the morning of the 9th. Virginia Key is the spit of land connecting Miami to Key Biscayne. (We were foregoing our usual South Beach launch because one of our "veteran" paddlers capsized the previous summer in Government Cut)

As our launch date approached, our illustrious leader, Steve O'Brien, kept glued to the Weather Channel. As is his nature, OB worried and predicted all-ending doom as Hurricane Dennis churned toward the Keys. I tried to calm his nerves, explaining that it was our destiny to paddle in Category-4 winds. But as the Lower Keys prepared for what could've been a very bad weekend, my misplaced bravado was snuffed out by OB's decision to delay our launch. For the first time in team history, the trip was on hold.

That Saturday, South Florida was blanketed with grey skies, pounding rain, and gusty winds. Thankfully, Key West was spared a direct hit and by Saturday night, the fur was flying again on Duval Street. As a result, the team agreed to launch Sunday morning from Black Pointe Marina in south Miami-Dade. We eliminated the first 25-miles or so and turned the 7-day trip into a 6-day adventure. That way, we kept on track with our campsite and hotel reservations.

The problem was: Dennis wasn't really gone. The dirty side of the storm left behind another day of nastiness. The good news was our boats were strong and sturdy. OB and Chad paddled a Necky Amaruk, Jeff and Craig piloted a Current Designs Libra and I was solo in a CD Solstice GTS - all graciously donated for the trip by FBO. As we paddled the kayaks toward the stacks of Turkey Point, we were blasted with several driving rainstorms, buffeted with a 25-knot wind, and kicked in the teeth with plenty of whitecaps.

Wearing our skirts and life jackets, we stopped for a quick lunch in the rain. Who would've thought you could be cold on a summer day in the Keys? At the time, we were making a terrible time and I was concerned we wouldn't make our goal of Short Key. But about mid-afternoon, the sun broke free and allowed us to pick up some miles. We even squeezed in a meal at Alabama Jack's before finishing the day.

Now, I don't care what the brochure says, but all of the Keys are not fun. Short Key is inhabited with the most rabid mosquitoes on the planet and on this night, the natives were certainly restless. Our spraying of bug foggers and repellents only made them mad. Our pre-dawn wake-up and break-down of camp probably looked like a scene from the "Three Stooges."

After battling the weather and the bugs on Day-1, the entire team was already spent. Some team members were already suffering because their underarms were cracked and bleeding from the rub of a wet, cotton shirt. But the fatigue and frustration of Day-1 soon slipped away as the Castaways enjoyed postcard weather the rest of the way.

As the sun rose, the boats sliced across Barnes and Blackwater Sounds. We stopped at FBO for coffee, pictures, and a visit with Monica and the staff. As the team paddled the tunnels and channels of the Gulf side, the Castaways looked forward to leaving their (skid) mark near Plantation Key.

Part-2 - Landmarks

Jeff Croucher gets extra points. In his 3rd-year on the team, the 28-year-old is one of the guys that actually live out of state. He travels down from Mississippi every summer to take part in the adventure. The Miami native, like everyone on the team, has a personal reason for raising money for the American Cancer Society. His sister is a survivor.

This year, Jeff wanted to make his mark. And he did, in a big way. I knew something was amiss when he called me a week before the trip and asked me to purchase a 6-foot long PVC pipe. The big question is not what he needed it for, but how he got onto a plane with carry-on luggage that included a toilet seat.

On last year's trip, while looking for a place to take a break in the sweltering heat, the team stumbled upon the neighborhood channel off Plantation Key that's lined with toilet seats. The seats are decorated and emblazoned with phrases like "Crap, I'm 40." We joked about putting up one of our own, but Jeff wasn't joking.



He purchased a toilet seat, painted it red, white, and blue, drew our team logo on the cover, and wrote, "Castaways Against Cancer. Since 2000: You Can't Hurt Steel." He unveiled the masterpiece just before we launched, so we tied the seat to the deck and wriggled on the PVC pipe. We humped that stuff all the way to the channel and installed the work of art. Hopefully, it's still there.

We ended a hot Day-2 with a cool hotel room at Holiday Isle. On Day-3, we stayed ocean side, enjoyed our annual brunch at the Hungry Tarpon, watched an Osprey catch a huge Permit off Long Key, tackled the Long Key Viaduct, and had great weather for our push to Grassy Key. That's where we first saw signs that Dennis had paid a visit.

Part-3 - Shelter

The Sea Shell Beach Resort at mile marker 57.5 looked different. As we pulled up to the shore, the water was a root beer brown, a rotten smell hung in the air and it looked like seaweed stretched onto the land the length of a football field. We tested the bottom with our paddles only to feel the blades slip under several feet of muck. We paddled back out to the end of the dock. I hopped out of my kayak, trudged through silt and muck, reached the wooden stairs, and climbed up. On the landing, a man lay sound asleep in a plastic chair. I walked up the dock and realized all of that seaweed was about a foot high and stretched all the way to the sliding glass doors of the rooms on the 1st-floor. Pieces of debris stuck out and the small hotel appeared deserted.

As I approached the office, I found an older couple standing outside. The balding man was wearing long pants, no shirt, and was holding a can of Natural Light. His wife had short brown hair, spoke with a German accent, and was sipping a glass of wine. They appeared tired, hot, and a bit weary. They explained to me that their son and daughter-in-law run the place - but the hotel was closed. The daughter-in-law was in the hospital because she fell down the stairs during the storm. The parents had just driven down from Miramar and had been waiting for their son for nearly 3-hours.

A sad story it was, but the fact remained the 'ol Castaways needed a place to stay. We'd just paddled 27-miles or so and needed a shower, dinner, and a bed. As I explained our plight, the man who'd been asleep on the plastic chair, made his way down the dock. The older couple perked up and said, "There he is."

With a raised eyebrow, I asked, "That's your son?"

They just had to laugh when they realized he'd been at the end of the dock the whole time. And despite the situation - hurricane damage, a wife in the hospital - another wonderful soul in the Keys saw the big picture. He opened up 2-rooms on the 2nd-floor for us and the Castaways had the hotel to themselves. The father even was nice enough to drive us down to Publix so we could buy refreshments and dinner. The well of goodwill, it seems, never runs dry in the Keys…

Part-4 - Red Sky at Night

Maybe it was because we paid the price on Day-1, but for the rest of the week, the breeze was with us and the tides were not against us. On Day-4, we enjoyed a nice breakfast on Sombrero Beach, paddled past the Seven Mile Bridge, relaxed on Molasses Key, and watched a beautiful sunset from our campsite on Bahia Honda. On Day-5, we lunched off Loggerhead Key and tackled the miles and miles of mangroves that line Sugarloaf and the Saddle Bunches. We cut down the Shark Key Channel, portaged across US1, and checked into a hotel room at the Caribbean Village. And on Day-6, we proudly cruised into Key West, landing at the Wyndham Casa Marina.

My brother Bob, who is a founding member of the Castaways Against Cancer, was unable to paddle with us this year. In January, the 38-year-old was diagnosed with non-Hodgkins lymphoma. He endured chemotherapy and wrapped up his radiation while we were on the trip. Today, he looks and feels great and is officially cancer-free. (knock on wood) As you can imagine, we were disappointed to not have him with us, but as we approached the Casa's shore, there he was at the end of the dock snapping pictures. He, his wife, and 2-baby daughters came down for the weekend to celebrate. It was the perfect icing on the cake.

The best news of all? The Castaways raised more than $23,000 for the American Cancer Society this summer, bringing our grand total since 2000 to over $90,000. The goal is to find a cure and despite age, family situations, jobs, geography, and stress, the Castaways will continue to paddle. Plans for the 7th-annual trip are already in the works.

But one thing is for sure. Next year, we're shipping off in early June. We want to get a head start on hurricane season.